agenda_y_actividades_ciclos_y_conferencias_2022_17_mayo

17 de mayo

Visita a los Carmelitas Descalzos

Ricardo Fernández Gracia
Cátedra de Patrimonio y Arte Navarro

Ciudad convento y arquitectura conventual: los tracistas

Arquitectura barroca española

Ciudad convento / también Pamplona

Uniformidad en el Carmelo Teresiano

Regla y Constituciones de la Orden (1623). Según el capítulo de 1604, se manda literalmente que “nuestros monasterios, nuestros templos NO SEAN MAGNÍFICOS”.

Ficha

Fundación: 24 de agosto de 1587, siendo sus impulsores la madre Catalina de Cristo, priora de Pamplona, y el noble navarro don Martín Cruzat y Oiz, prior en aquellas fechas del convento de Segovia.

Filiación: Carmelitas Descalzos de Segovia.

Localización primitiva: extramuros de la ciudad en el barrio de la Magdalena. Su iglesia fue inaugurada en 1612 y se puso como modelo en Corella.

Traslados: en 1637 pasan a la ciudad intramuros, residiendo mientras se construía el nuevo convento en unas casas provisionales. Hacia 1640 la comunidad se instaló ya en lo que habría de ser en actual convento.

Exclaustración: con motivo de la desamortización de Mendizábal en 1835-1836.

Restauración de la vida conventual: 23 de mayo de 1895.


Plano grabado de la ciudad de Pamplona, por Nicolas de Fer (1719).

Construcción

Licencia para instalarse en la ciudad en 1637, sedes provisionales. Entre 1640 y 1660 los carmelitas compraron un total de 71 casas por más de 10.000 ducados Obtuvieron el permiso del Ayuntamiento en 1647 para ocupar la calle Urradinda.

Llega el tracista hermano Nicolás desde Calahorra en 1637 y en 1639 el prior fray Alonso de San José (Calahorra, Ávila, Corella…).

Otros tracistas: en lo que a este convento concierne, hemos localizado la presencia o actuación de otros tracistas carmelitas como fray Ginés de la Madre de Dios, prior de Pamplona en 1623, quien proyectó la parroquial de Santiago de Calahorra; fray Pedro de Santo Tomás, tracista y conventual de Pamplona en 1666; fray Juan de San José, quien en 1673 emitió su parecer desde Alba de Tormes sobre las mediciones de la fachada de la iglesia de Pamplona; fray Francisco de Jesús y María y Fray Martín de San José, tracistas de retablos; y finalmente fray José de los Santos que, a mediados del siglo XVIII, diseñó el camarín de san Joaquín.

Claustro: 1644, por Juan de Urquía, maestro cantero, y José de Lagurrea, maestro albañil. En 1649 paredes y en 1730, la biblioteca.

Iglesia: desde 1661; entre 1662-1664, adquisición piedra zócalo; albañilería entre 1664 y 1669.

Inauguración: El templo, dedicado a santa Ana, se inauguró el día de su festividad de 1669, siendo prior fray Juan de San Joaquín, y a este señalado acontecimiento acudieron el padre general de la Orden y el virrey junto con otras autoridades.

Capilla de San Joaquín remodelada y decorada en 1750 por fray José de los Santos.

Fachada: Contratada en 1667 con Pedro de Azpíroz, poniendo como modelo la del convento de Lazcano. Piedra de las canteras de Olcoz. Última tasación por fray Juan de San José de 1673.


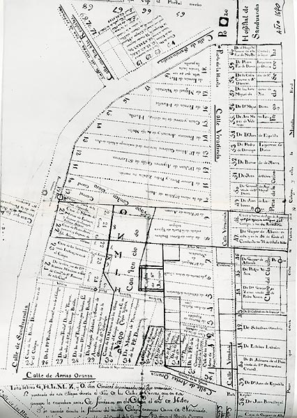
Plano original del sector urbano en donde se construyó el convento (1640).

Retablos

Mayor, por fray Francisco de Jesús María: En su financiación intervinieron decisivamente con sus donativos dos generales de la Orden que habían profesado en esta casa, fray Esteban de San José (1664-1670) y fray Mateo de San Gerardo (1670-1671), quienes aportaron la elevada suma de 8.000 ducados de plata que se emplearon en la fachada, enladrillado de la iglesia y el asentamiento de los retablos. Es similar a Jesús y María de Valladolid, Peñaranda de Bracamonte y Alba de Tormes. Actual titular (1915) Francisco Font. Dorado en 1916.

Colaterales: con cambios de advocación y reformas en 1933.

Capillas: Las trazas para su ejecución fueron diseñadas por artífices de la Orden, concretamente por los maestros arquitectos fray Francisco de Jesús y María y fray Martín de San José, conventual en Pamplona en el último tercio del siglo XVII.

Santa Teresa: inscripción, 1690. La capilla de Santa Teresa fue de patronato de don Marcos de Echauri, secretario de su majestad y del Consejo de Navarra y bienhechor del convento, desde 1689, año en que la adquirió por 100 ducados de plata una vez obtenida la licencia del general de la Orden.

San Joaquín: 1667 por Francisco Gurrea y Sebastián de Sola y Calahorra. Terminado para 1669, antes de fallecer fray Juan de Jesús San Joaquín. Policromía de 1670 por Pedro de Castillejo y Fuentes, por 600 ducados que aportarían don Juan de Aguirre, del Consejo de Su Majestad, don Francisco de Espeleta, caballero de la Orden de Santiago y señor de Otazu, don Martín de Rada, caballero de la misma Orden, don Felipe de Errazu, del Real Consejo y don Sebastián de Esparza, capellán de las Recoletas.


Iglesia de los Carmelitas Descalzos de Pamplona, construida entre 1642 y 1672

San Joaquín y los orígenes de su culto en Pamplona

En pleno siglo XVII residió en la capital Navarra un hermano lego carmelita, el hermano Juan de Jesús San Joaquín (1590-1669), natural de Añorbe, cuya vida se popularizó al poco de fallecer, por haberse llevado a la imprenta en 1684. Desde entonces hasta hace un siglo, el texto seiscentista se ha venido reeditando en varias ocasiones. Entre los numerosos sucesos, algunos de carácter maravillosista, muy en sintonía con aquel siglo XVII, se nos narra en su biografía todo lo referente a la extensión del culto a san Joaquín, tarea que tomó muy en serio el citado lego. Como no podía ser menos, la imposición del nombre de Joaquín se popularizó y de modo especial a niños que nacían de matrimonios con grandes problemas para obtener sucesión.

El autor del libro que citamos, el padre Bartolomé de Santa María, trata largamente sobre el hipotético primer caso con el citado nombre, en Navarra, “y probablemente de toda España, en donde desde entonces se multiplicaron los Joaquines. Esto fue el año 1636”. Los protagonistas del hecho fueron el matrimonio conformado por don Juan de Aguirre, oidor del Real Consejo de Navarra, y doña Dionisia de Álava y Santamaría, su sobrina, que casaron tras encomendar el asunto a san Joaquín a través del hermano. Después de tener varias hijas, don Juan dijo al hermano Juan que “rogase al santo que, pues los había casado, les diese un hijo. Ofreciolo y a los pocos días dijo a don Juan: –Ya tiene usted hijo. –¿Qué ya le tenemos? –replicó don Juan–, doña Dionisia ha tenido señales en contra. –Ya le tienen –replicó el hermano–, de tres días a esta parte: tengan cuidado y hallarán que es así”. El relato es muy largo y finaliza con el nacimiento de don Joaquín de Aguirre Álava y Santamaría. El padre de la criatura quiso saber cómo el lego tuvo tal acierto y convicción, a lo que este le contestó que “fue el santo el que le había asegurado la concepción, y cuando fue a verlos, vio a doña Dionisia que salía de casa a misa, y delante de ella el niño que había de nacer”.

No fue este caso el más famoso, sino otro Joaquín, hijo de los virreyes de Navarra, de Oropesa, al que se impuso el nombre de Manuel Joaquín, en Pamplona el día de Reyes del año 1644, y cuyo natalicio perpetuó Antonio de Solís en una comedia titulada Eurídice y Orfeo y popularizó José María Iribarren en su libro De Pascuas a Ramos.

El jesuita Juan Bautista León, en dos tomos dedicados al culto a san Joaquín, nos habla también de otros sucesos acaecidos con el hermano lego de Añorbe y de la extensión del culto al santo y dedicación de templos y retablos a partir de su capilla en los carmelitas descalzos de Pamplona por Tarazona, Toro, Valencia, Jumilla, Monovar, Villena, Ávila, Bilbao, Játiva y Sicilia. En Navarra, algunas de las ermitas dedicadas a san Joaquín arrancan precisamente de la figura del hermano Juan.


Antigua postal de la capilla de San Joaquín.

Una serie de seis lienzos josefinos en los Carmelitas de Pamplona

Mecenas: José Francisco Bigüézal, obispo de Ciudad Rodrigo entre 1756 y 1762. La realización se debió de retrasar hasta 1765, a juzgar por algún pleito que los frailes mantuvieron en relación con el patrono de una de las capillas de la iglesia. Su autor fue Pedro de Rada, pintor establecido en Pamplona en el segundo tercio del siglo XVIII y con amplia obra, tanto en la sacristía de la catedral como en diversos encargos de las instituciones del Reino.

En el ciclo se incluyeron cinco pasajes que figuran en el Nuevo Testamento: la Adoración de los pastores (Lc 2, 8-20), la Circuncisión del Niño Jesús (Lc 2, 21), la Presentación del Niño Jesús en el Templo (Lc 2, 22-40), la Huida a Egipto (Mt 2, 13-15, 19-23) y el Niño Jesús perdido y hallado en el Templo (Lc 2, 41-52). A esas escenas se añadió una sexta, con el tema de la muerte de san José, narrado en los Apócrifos y otros textos publicados a partir del siglo XVI.

El pintor, como otros muchos, se basó para realizar todas aquellas composiciones en estampas grabadas. Sin embargo, pese a lo que pudiéramos pensar, no se utilizó una serie concreta de estampas, sino que cada uno de los pasajes se copió de diferentes calcografías que, muy probablemente, entregaron los propios carmelitas a Pedro de Rada.
 

FUENTES Y BIBLIOGRAFÍA

AZANZA LÓPEZ, J. J., Arquitectura religiosa del Barroco en Navarra, Pamplona, Gobierno de Navarra, 1998.

ECHEVERRÍA GOÑI, P. y FERNÁNDEZ GRACIA, R., “El convento e iglesia de los Carmelitas Descalzos de Pamplona. Arquitectura”, Príncipe de Viana (1981), pp. 787-818 y “El convento e iglesia de los Carmelitas Descalzos de Pamplona. Exorno artístico”, Príncipe de Viana (1981), pp. 819-891.

FERNÁNDEZ GRACIA, R., El retablo barroco en Navarra, Pamplona, Gobierno de Navarra, 2003.